Ter. residenziale in vendita

Civitanova Marche, Via della Fontanella - San Giuseppe
€ 300.000
1394 Mq 1394 Mq

Ter. residenziale in vendita

Civitanova Marche, Via della Fontanella - San Giuseppe

Descrizione annuncio

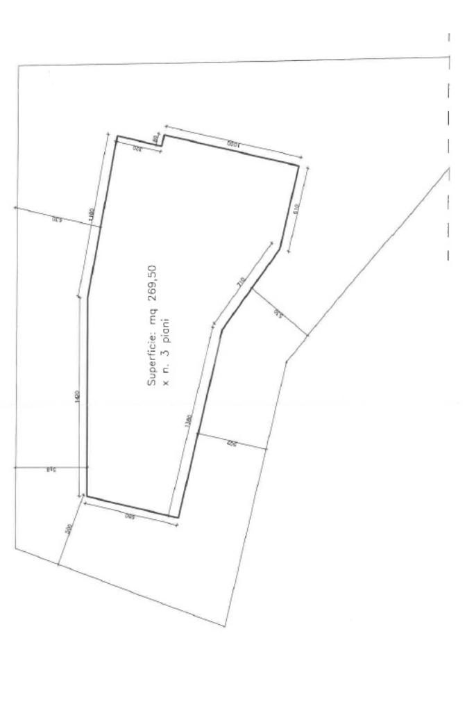
Civitanova Marche, proponiamo in vendita lotto edificabile di 1.394 mq con SUL di circa 830 mq, situato in un quartiere in forte sviluppo e perfettamente collegato alle principali vie di comunicazione.


L’area si trova in una posizione strategica che garantisce massima comodità grazie alla vicinanza a tutti i servizi essenziali: scuole, supermercati, fermate dei mezzi pubblici, piste ciclabili, aree verdi e accessi rapidi alle arterie stradali principali.
Punti di forza:

Lotto di 1.394 mq


800 mq di SUL , ricadente in zona PRG .12 R3 con indice edificabilità 0,6; si possono sviluppare su tre piani fuori terra circa 270 mq a piano, tenendo conto delle distanze.

La certezza delle metrature edificabili è soggetta a verifica ed approvazione da parte dell'ufficio comunale di competenza.

I confini riportati sulle immagini sono approssimativi.

Quartiere in espansione e alto potenziale di rivalutazione

Ottimi collegamenti e servizi a pochi passi


Contesto tranquillo ma ben servito

La zona, già oggetto di nuovi interventi urbanistici, rappresenta una scelta sicura e lungimirante. Un investimento ideale per chi desidera realizzare un progetto residenziale moderno e di qualità, in un contesto destinato a crescere e valorizzarsi nel tempo.

Stai cercando casa? Hai bisogno di una valutazione immobiliare gratuita?
Rivolgiti a Tecnocasa, la più grande rete immobiliare in Italia!


Per ulteriori informazioni contattataci al 3895275992 - 073347374, oppure vieni a trovarci a Civitanova Marche, Corso Umberto I, 162 o Viale Vittorio Veneto, 209.

Mostra tutto

Nelle vicinanze

Trasporto pubblico Trasporto pubblico
Civitanova Marche - Montegranaro
Civitanova Marche - Montegranaro
1,6 Km
Ricariche auto elettriche Ricariche auto elettriche
LIDL Civitanova Marche
2,1 Km
Iper La grande I c/o CC Il Cuore Adriatico
2,1 Km
Scuole Scuole
Scuola Elementare "Anita Garibaldi"
460 m
Istituto Superiore Leonardo Da Vinci
800 m
Scuola Secondaria Mestica
1,3 Km
IST. Prof. Corridoni
1,8 Km
Scuola Primaria Santa Maria Apparente
2,2 Km
Farmacia Farmacia
Farmacia Angelini
1,3 Km
Farmacia comunale n. 6
1,8 Km
Parafarmacia Conad
2,2 Km
Farmacia Fontespina
2,9 Km
Ospedali Ospedali
Casa di Cura Villa Pini
2,1 Km
Supermercati Supermercati
Eurospin
80 m
Natura Si
290 m
Simply Market
740 m
Conad
1,0 Km
Coop
1,2 Km
Negozi Negozi
Calzedonia
1,6 Km
Calliope
1,6 Km
AdamoEva
1,8 Km
Santoni Factory Store
1,9 Km
Gattari
2,6 Km
Bar Bar
La Serra
450 m
Bar Sel-Service Pizzeria AltamareA
990 m
london
990 m
Coco Bongo Gelateria Cioccolateria
1,0 Km
Rafael Beach
1,1 Km
Ristoranti Ristoranti
Ristorante la Briciola Beach
1,0 Km
Ristorante Officina Bistrot
1,1 Km
Donoma
1,2 Km
fico d'india
1,3 Km
La Gradisca
1,4 Km
Mostra tutto

Caratteristiche

Rif.:
61143139
Piano:
Terra di 3
Totale piani:
3
Arredamento:
Assente
Condizionamento:
Assente
Ascensore:
No
Mostra tutto
Prezzo Prezzo
€ 300.000
Rata mutuo Rata mutuo
€ 1.425 / mese
Spese annue Spese annue
€ 0
Proponi il tuo prezzoProponi il tuo prezzo

Classe Energetica

Questo immobile è esente da classe energetica
Anno di costruzione:
2025
Riscaldamento:
Assente

Ti interessa visionare l'immobile?

Fissa un appuntamento  Fissa un appuntamento

Richiedi informazioni

Clicca su Leggi per aprire l'informativa
* Questi campi sono obbligatori

Calcola il tuo mutuo

Semplice e senza impegno
Anticipo

( % )
Mutuo

( % )

pochi semplici passi

inserisci i tuoi dati
Questionario completato
Grazie per aver richiesto un appuntamento senza impegno con un nostro Consulente del Credito e Assicurativo.

Hai inserito correttamente tutti i dati necessari e a breve riceverai una e-mail con un link da convalidare per inviare i tuoi dati.
Affiliato
Civitanova Srl
Corso Umberto I, 162 62012 Civitanova Marche (MC)

Il nostro staff


  • Matteo Crocetti
    Affiliato

  • Denise Paoletti
    Coordinatrice

  • Gianluca Ripari
    Collaboratore

  • Andrea Spreca
    Responsabile

  • Lorenzo Tordini
    Collaboratore
Corso Umberto I, 162 62012 Civitanova Marche (MC)
Zona: Civitanova Marche
Mostra su mappa
Orari: Dal Lunedì al Venerdì 9.00 -13.00 /15.30-19.30 Sabato 9.00-12.30 /15.00-17.30 Domenica chiuso
Affiliato
Civitanova Srl
Corso Umberto I, 162 62012 Civitanova Marche (MC)

2026 Tecnocasa Franchising S.p.A. - P. IVA 08365160152 - Via Monte Bianco 60/A 20089 Rozzano (MI). Ogni agenzia ha un proprio titolare ed è autonoma. Privacy policy | Policy utilizzo | Cookie policy